By Monica D. Spencer | InMaricopa
More houses may be on the horizon for Maricopa.
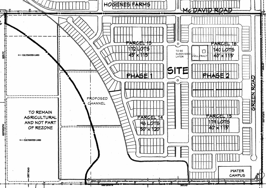
Developers proposed creating a new subdivision in the city’s western boundaries near McDavid and Green roads, according to documents obtained by InMaricopa.
Dubbed Hogenes Farms South, the subdivision will sit immediately south of the proposed Hogenes Farms subdivision and west of Maricopa Meadows. According to a project narrative, it is expected to bring up to 587 homes to the farmland, a combination of single-family homes, townhomes and condominiums.





