(Disclosure: Rose Law Group represents Meritage Homes.)
By Real Estate Daily News
TUCSON, AZ (May 9, 2024): Meritage Homes recently acquired 327 paper lots in Northwest Tucson, 266 in Mandarina in Marana, and another 61 at Naranja Trails in Oro Valley; both are new communities that Meritage plans to have open for sales by mid-2025.
Mandarina MPC is at the intersection of I-10, Tangerine Road, and the Union Pacific Railroad corridor. The community will add 1,026 residences to Marana as platted now and up to 2,500 when fully completed, along with a mix of shopping and entertainment facilities planned for Mandarina
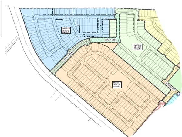
Meritage Homes is the first homebuilder to seize this opportunity. The initial 266 lots at Mandarina, part of an option for 560 lots, were acquired by Meritage for a total of $8,638,180 ($32,474 per lot). These platted-only lots were purchased from Mandarina Holdings, an affiliate of Bela Flor Communities, in Mesa, with the seller finishing the lots for the homebuilder, as shown in Parcels 7 and 10 of this site map.





