By Jason W. Brooks | YourValley
BUCKEYE —Sean Banda said he’s received more than 100 phone calls with concerns about a planned Buckeye housing development.
After he discussed some concerns, heard public input and took questions from the Buckeye Planning and Zoning Commission, the preliminary plat approval and rezoning were approved unanimously.
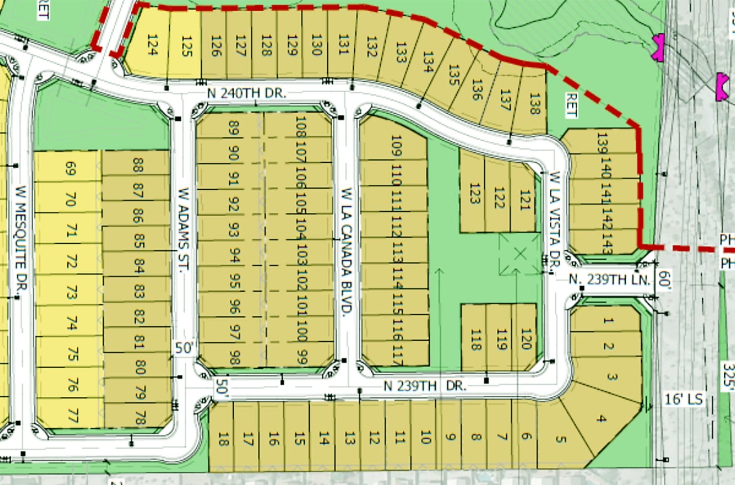
Nine area residents spoke during a public hearing about Shadow Canyon, a D.R. Horton development on about 92 acres along Watson Road north of Interstate 10 along the Van Buren Street alignment.
The residents spoke about some of same top-five concerns Bonda mentioned, and more. Those concerns didn’t stop the commission from voting to recommend to the city council approval of both the preliminary plat and a rezoning — from SF-43 to SF-6 — with a planned-area development overlay for 275 single-family residential lots.
The rezoning passed unanimously. The recommendation for preliminary plat approval passed by a 6-1 vote.


