[Courtesy City of Maricopa]
By Monica D. Spencer | InMaricopa
Developers are working to build more multi-family housing in Maricopa.
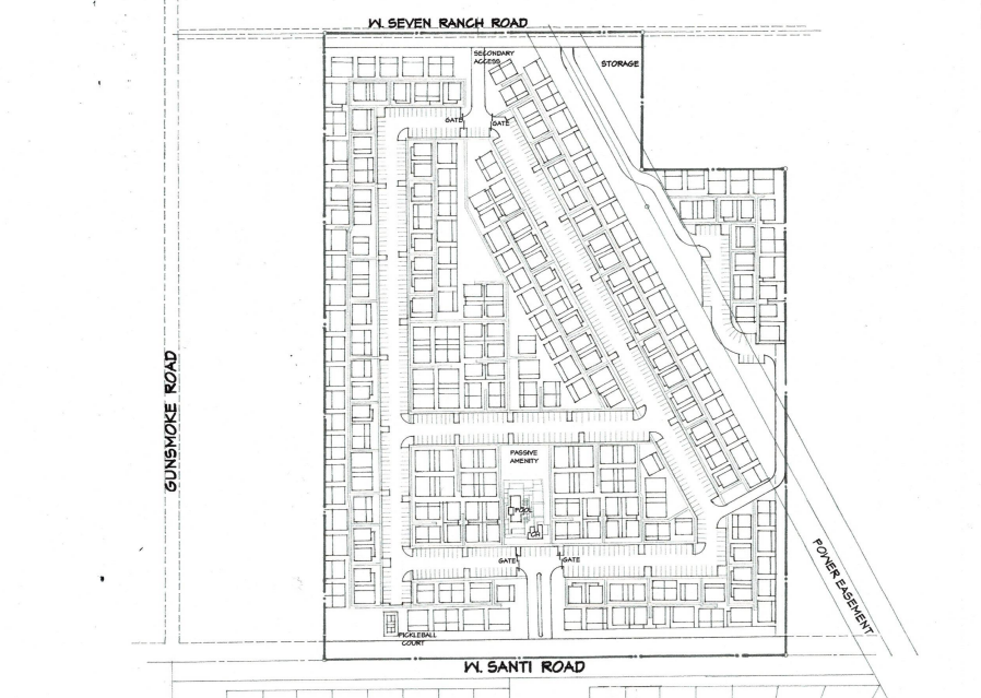
A Scottsdale developer submitted pre-application paperwork last month to construct Santi Village, a proposed gated rental community in Seven Ranches.
Located near Gunsmoke and Santi Roads, a project narrative detailed a request to rezone the 28-acre parcel from general rural to multiple unit residential.
The rezone would allow for “the development of a single-family attached or detached gated community with one-story rental homes,” according to the paperwork.
A conceptual site plan shows 339 units in a compact neighborhood with a communal pool, clubhouse and pickleball court. The neighborhood would be accessed by Seven Ranch and Santi Roads.





