TOWN OF QUEEN CREEK
By Janet Perez | YourValley
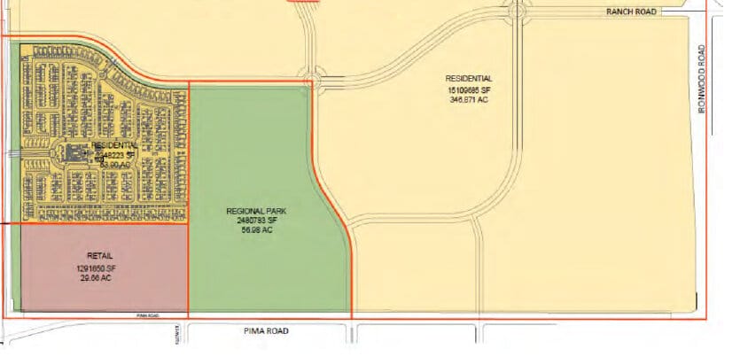
The Queen Creek Town Council recently approved a resolution to work with the Church of Jesus Christ of Latter-day Saints to provide the town with a five-year option to develop 57 acres of church land into a town park at the northwest corner of Pima Road and Euell Drive.
The council also agreed to work with the church to facilitate a development agreement for 155 acres of land generally at the northeast corner of Pima and Meridian roads and approximately 930 feet south of the southwest corner of Germann and Ironwood roads. The potential park would be part of the 155 acres.
Council approved the motion on Wednesday as part of its consent agenda. Items on the consent agenda are approved or rejected with one vote unless a council member or member of the public asks that an item be removed for a separate discussion or vote.
Under the agreement, the church will set aside for five years a 57-acre parcel for the town to potentially develop into a park with 5 acres possibly being used for a police substation site. The church would also plan for and construct pedestrian and bicycle connections to the park site from the residential and commercial parcels that could be built on the balance of the 155 acres.





